the Legacy continues…………………….
Gregory R. Mann, Ph.D. {ret.}

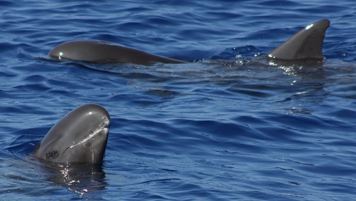
Pygmy Killer Whale

Feresa attenuata”

Pygmy Killer Whales are very similar in appearance to Melon-headed Whales and to juvenile False Killer Whales. From a distance, it is very difficult to tell these 3 apart. The shape of the head, the dorsal fin and the flippers of Pygmy Killer Whales are different from the other 2 and the head of is rounded and lacks a beak. They have an under-slung jaw and white lips and usually a white patch on the tip of the lower jaw. The skull is asymmetrical and the right jaw is smaller and usually has one less tooth than the left jaw. The teeth are large and conical. There are usually 8-11 pairs of teeth in the upper jaw and 11-13 pairs of teeth in the lower jaw. Pygmy Killer Whales have a sub-triangular, long based, high dorsal fin with a tip that points backward. The dorsal fin is located near the center of the body and lacks rigidity, often inclining to the side. The flippers of are moderate in length and have rounded tips.

The body is slender, though the midsection forward is slightly more robust than the midsection back. Pygmy Killer Whales are not whale-sized at all; rather, they are average-sized dolphins and part of the Family Delphinidae. An adult ranges in length from 2.1-2.6 meters and weighs between 110-170 kilograms. The coloring is dark gray to black with some paler markings on the underside, as well as some white on the belly. They have a groove on the skin of the belly that extends from up front to their umbilicus (navel) to their anus. In both males & females, this groove contains the umbilicus, the anus and the genitals. Longevity in this species is poorly understood. Pygmy Killer Whales are described as aggressive animals that have been seen snapping their jaws, beating their flippers & flukes on the surface of the water and growling. In captivity, they elicit fear reactions from other cetaceans. They will charge, bite and snap their jaws at other cetaceans as well as their trainers. They will often kill all other cetaceans that are in the tank with them. Though aggressive toward other animals, Pygmy Killer Whales are shy of vessels. At the water’s surface, they are quite acrobatic. They are often seen leaping, spy hopping, tail slapping and occasionally bow-riding. Social pods of this species are usually made up of approximately 25 individuals. In areas where they are more frequently sighted such at the Hawaiian Islands, pods contain up to 50 individuals and on rare occasions a few hundred.

Pygmy Killer Whales are found around Japan, Hawaii and in the warmer eastern areas of the North Pacific Ocean. It is also found in the West Indian area and around tropical western Africa in the Atlantic Ocean as well as in the Indian Ocean and the Gulf of Mexico. They are primarily a species of tropical waters, though it has been spotted in cooler waters off the west coast of Southern Africa and Peru. It prefers sub-tropical & tropical waters usually in deep water in the open oceans and is rarely found in closed water. Pygmy Killer Whales are believed to be non-migratory, but little is known about their migratory habits. Their diet includes squids, octopus and large fishes. Pygmy Killer Whales are also known to occasionally attack pods of small cetaceans. Little is known about the predators of Pygmy Killer Whales. Their large size & aggressiveness makes them invulnerable to many predators, but perhaps not to large sharks or larger cetaceans such as Killer Whales. There is no information on mating in Pygmy Killer Whales. It is believed that males are sexually mature when they are greater than 2.16 meters in length and females when they are greater than 2.21 meters in length. The summer months are probably when most of the generally 1 calves are born.

🌐 Translate »